Opis
W sąsiedztwie nieruchomości grunty użytkowane rolniczo oraz zabudowa mieszkalna jednorodzinna i wielorodzinna o niskiej intensywności zabudowy. Centrum miasta tj. Plac Ratuszowy i jego otoczenie z obszarem koncentracji usług i organów administracji publicznej znajduje się w odległości około 10 km.
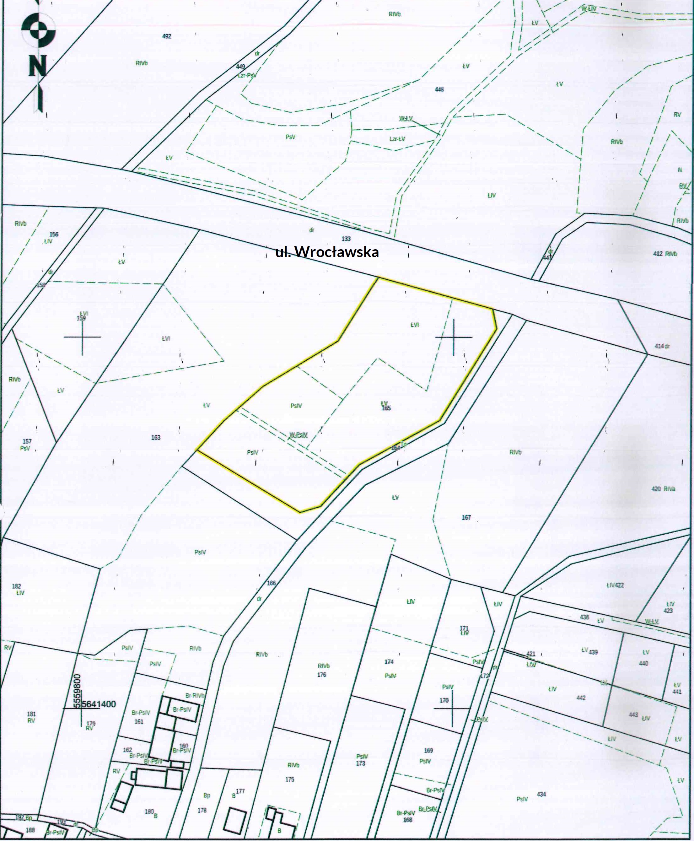
Nieruchomość posiada dostęp do drogi publicznej ulicy Wrocławskiej (przebiegającej przez działkę drogową 133, obręb 0063), przez ogólnodostępną działkę drogową nr 166 (droga gruntowa) oraz działkę nr 164 posiadającą użytek Tp - grunty przeznaczone pod budowę dróg publicznych .
Teren nieruchomości płaski o regularnym kształcie, udostępniony przez Miasto w formie dzierżawy z przeznaczeniem na cele rolne.
W obszarze działki nr 165 przebiega drenaż oraz rów oznaczony w ewidencji urządzeń melioracji wodnych jako rów R-J2. Likwidacja rowu oraz jego zarurowanie nie jest możliwe bez zapewnienia odpływu wód z terenów położonych powyżej. Wobec powyższego nabywca nieruchomości zobowiązany będzie do utrzymania rowu w należytym stanie, umożliwiającym swobodny spływ wód. Ewentualne zarurowanie rowu nastąpi na koszt i staraniem inwestora. Dodatkowo, w bezpośrednim sąsiedztwie północnej i zachodniej granicy – już poza obszarem działki nr 165, przebiegają rowy.
Północno-wschodni narożnik działki nr 165 obciążony jest przebiegiem sieci gazowej ga250. W części południowej nieruchomości zlokalizowany jest słup, od którego przez teren działki przebiega czynna napowietrzna sieć elektroenergetyczna średniego napięcia 20kV L-226.
Zgodnie z obowiązującym miejscowym planem zagospodarowania przestrzennego dla jednostki Maciejowa w Jeleniej Górze uchwalonym uchwałą nr 347.XXXV.2013 Rady Miejskiej Jeleniej Góry z dnia 24 stycznia 2013 r., nieruchomość położona jest na terenie oznaczonym symbolem U4, dla którego jako przeznaczenie podstawowe plan ustala tereny zabudowy usługowej. Należy przez to rozumieć tereny, obiekty lub części obiektów z zakresu: a) handlu detalicznego, b) gastronomii, c) biurowej (administracji, zarządzania, finansów itp.), d) poczty i telekomunikacji, e) oświaty, f) ochrony zdrowia i odnowy biologicznej, g) rekreacji i sportu, h) kultury, i) turystyki i hotelarstwa, j) projektowania i pracy twórczej, k) rozrywki, l) drobnych usług rzemieślniczych. Teren U4 położony jest w granicach otuliny Rudawskiego Parku Krajobrazowego.
Szczegóły
| Powierzchnia gruntu |
9893m2
|
|---|---|
| przeznaczenie w planie |
Usługowa
|
| Rodzaj obiektu | |
| Sprzedane |
Nie
|





